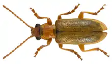
Orsodacne
Orsodacne cerasi
Scientific classification Edit this classification
Domain: Eukaryota
Kingdom: Animalia
Phylum: Arthropoda
Class: Insecta
Order: Coleoptera
Infraorder: Cucujiformia
Family: Orsodacnidae
Subfamily: Orsodacninae
Thomson, 1859
Genus: Orsodacne
Latreille, 1802

Orsodacne is a genus of beetles, the sole member of the subfamily Orsodacninae.[1] It comprises four Holarctic species.

List of species


References

  1. Hubble, D. (2012). Keys to the adults of seed and leaf beetles of Britain and Ireland. Field Studies Council. p. 51.


This article is issued from Wikipedia. The text is licensed under Creative Commons - Attribution - Sharealike. Additional terms may apply for the media files.